Destacados
Últimas noticias
Una Costa Rica más pobre, el desafío del próximo gobernante
La Carpio nació pobre, y ahora lo es más. En este barrio de casas precarias y calles estrechas en San José, varios de sus habitantes perdieron el empleo en la pandemia, agravando una situación que deberá resolver el próximo presidente de Costa Rica.
Familiares de opositores sentenciados en Nicaragua claman por su inocencia
Lesther Alemán, el líder estudiantil que exigió la renuncia del presidente socialista Daniel Ortega en 2018, acaba de ser sentenciado por conspiración contra Nicaragua. Como él, otros cinco opositores detenidos fueron hallados culpables de ese delito y sus familiares claman por su inocencia.
China insta a EEUU a mostrar más "flexibilidad" sobre Corea del Norte
El embajador de China ante la ONU pidió el viernes a Estados Unidos ser más flexible en sus tratos con Corea del Norte, mientras Pekín se une a otros para rechazar una declaración conjunta del Consejo de Seguridad redactada por Estados Unidos que condena los lanzamientos de misiles de Pyongyang, dijeron diplomáticos.
Irán juzga insuficiente el levantamiento de algunas sanciones por EEUU
Irán consideró este sábado "buenos pero no suficientes" los pasos dados por Estados Unidos para levantar algunas de las sanciones relacionadas con el programa nuclear civil de la República Islámica.
Vandalizan en Francia escultura de héroe argelino
La escultura en homenaje al héroe argelino Abdelkader (1808-1883) fue vandalizada antes de su inauguración este sábado en Francia, donde este personaje histórico estuvo detenido junto a varios miembros de su familia de 1848 a 1852, constataron periodistas de la AFP.
El bloque de Sadr boicoteará la elección del presidente en Irak
Los diputados de movimiento del líder chiita Moqtada Sadr, la primera fuerza en el Parlamento iraquí, boicotearán la sesión para elegir al presidente de la República, anunció el sábado un responsable del partido.
Comenzó el traslado de refuerzos estadounidenses a Polonia (ejército polaco)
El traslado de refuerzos estadounidenses a Polonia, enviados para tranquilizar a los aliados preocupados por las tensiones ruso-ucranianas, "ha comenzado", declaró este sábado a la AFP un vocero del ejército polaco.
La cumbre de la Unión Africana reactiva la controversia del estatuto de Israel
La cumbre anual de la Unión Africana (UA) se inició este sábado en Adis Abeba con un llamado del primer ministro palestino Mohammed Shtayyeh a retirar la credencial con el estatus de observador acordada en julio a Israel, fuente de intensos debates entre sus 55 miembros.
Irán afirma que medidas de EEUU para levantar sanciones son "buenas pero no suficientes"
Los pasos de Estados Unidos para levantar sanciones contra Irán son "buenos pero no suficientes", afirmó este sábado el ministro iraní de Relaciones Exteriores, horas después de que Washington anunciara que restablecerá una exención para algunas medidas contra el programa nuclear civil de Teherán.
Macron en primera línea en Ucrania, con la presidencial en Francia en el retrovisor
A dos meses de la elección presidencial, los esfuerzos del presidente francés, Emmanuel Macron, parecen concentrados en resolver la crisis internacional sobre Ucrania, una mediación que podría influir en su esperada candidatura a la reelección.
Campesinos birmanos acusan a las tropas de la Junta de incendiar sus viviendas
Residentes y combatientes contra el golpe de Estado militar acusaron a soldados de haber incendiado centenares de viviendas en el noroeste de Birmania, país donde desde hace un año la Junta militar en el poder trata de someter a los opositores.
El primer ministro palestino pide a la Unión Africana retirar a Israel el estatus de observador
El primer ministro palestino Mohammed Shtayyeh pidió a la Unión Africana que retire a Israel la credencial con el estatus de observador acordada en julio por el presidente de la comisión de esa organización, en un discurso el sábado en la apertura de la cumbre de la UA.
China acusada de apropiarse cultura coreana en ceremonia de apertura de Juegos de Pekín
Un candidato a la presidencia en Corea del Sur acusó el sábado a China de apropiarse de la cultura de su país en la ceremonia de apertura de los Juegos Olímpicos de Invierno de Pekín, en la que apareció una figurante con un atuendo tradicional coreano.
Las fuerzas ucranianas se entrenan para el combate en pueblo fantasma de Chernóbil
El estruendo de las ametralladoras resonó entre los edificios abandonados de Pripyat, en la Zona de Exclusión de Chernóbil, donde soldados de la Guardia Nacional Ucraniana realizaron el viernes ejercicios de combate urbano.
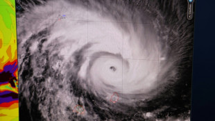
El ciclón Batsirai se acerca a Madagascar y plantea "amenaza muy seria"
El ciclón Batsirai debe llegar el sábado al este de Madagascar con fuertes vientos y lluvias torrenciales que plantean una "amenaza muy seria" para millones de personas en el país insular.
Gobierno de Biden evalúa pagos digitales para envío de remesas a Cuba
El gobierno del demócrata Joe Biden evalúa los pagos digitales "como parte de las soluciones innovadoras" que estudia para facilitar la transferencia de dinero de Estados Unidos a Cuba, dijo el viernes una funcionaria estadounidense.
Exvicepresidente Pence rechaza afirmación de Trump de que podía revocar las elecciones
El exvicepresidente republicano de Estados Unidos Mike Pence dijo el viernes que no tenía el derecho a revocar las elecciones de 2020 y que el expresidente Donald Trump se equivocó al afirmar que él podría haberlo hecho.
La justicia de Irlanda del Norte ordena retomar los controles posbrexit
El Tribunal Superior de Irlanda del Norte suspendió provisionalmente el viernes la orden del ministro norirlandés de Agricultura de cesar los controles agroalimentarios posbrexit para los productos de Gran Bretaña.
Lo que se sabe de la muerte del jefe del EI
Un día después de la muerte del líder de Estado Islámico (EI), Abu Ibrahim al Qurashi, en una operación de Estados Unidos en Siria, quedan muchos interrogantes sobre la intervención y sobre el futuro del grupo yihadista.
Cadena perpetua para un acusado de los atentados del metro de Moscú en 2010
Un tribunal militar ruso condenó el viernes a cadena perpetua al único organizador aún en vida de dos atentados mortales en el metro de Moscú en 2010, en los que murieron 39 personas y casi 90 resultaron heridas.
El ejército de Ucrania, modernizado y con experiencia en combate tras ocho años de guerra
Cuando llegó al frente como voluntario para luchar contra los separatistas prorrusos en 2014, Pavlo Dolynski se encontró con que el ejército ucraniano estaba en un estado calamitoso. Pero tras ocho años de conflicto, reformas y ayuda occidental, las cosas han cambiado mucho.
Suu Kyi regresa a los tribunales de la junta militar birmana tras una ausencia por motivos de salud
La destituida líder de Birmania Aung San Suu Kyi regresó el viernes ante un tribunal de la junta militar después de haber faltado a una audiencia anterior por problemas de salud, informó una fuente con conocimiento del caso.
Trudeau desestimó usar a militares para aplacar la protesta antivacunas de camioneros en Canadá
El primer ministro canadiense, Justin Trudeau, desestimó el jueves la idea de utilizar a los militares para desalojar a los manifestantes que se oponen a los mandatos de la vacuna obligatoria contra el covid-19, cuyo convoy de grandes camiones está obstruyendo el centro de Ottawa.
Una exguerrillera y un líder estudiantil que encaró a Ortega, culpables de "conspiración" en Nicaragua
La justicia nicaragüense declaró este jueves culpable por "conspiración" a la exguerrillera sandinista Dora María Téllez y al líder estudiantil Lesther Alemán, símbolo de las protestas del 2018 contra el gobierno de Daniel Ortega, informaron organismos de derechos humanos.
De una granja de Kansas a las filas del EI, el confuso viaje de una yihadista de EEUU
¿Cómo se pasa de vivir en una granja en Kansas a liderar un batallón de mujeres del Estado Islámico (EI)? La radicalización de la estadounidense Allison Fluke-Ekren, atrapada por la justicia de su país tras años dentro de la organización yihadista, sigue en gran parte sin explicación.
España eliminará la obligación de usar mascarilla al aire libre
España eliminará el martes la obligación de llevar mascarilla al aire libre, una medida instaurada en diciembre en plena escalada de contagios del covid-19, gracias a la actual mejora de los indicadores sanitarios, anunció el viernes la ministra de Sanidad, Carolina Darias.
Reunión entre Xi y Putin en medio de tensiones con Occidente
En medio de una creciente tensión con Occidente, el presidente chino Xi Jinping y su homólogo ruso Vladimir Putin demostrarán su cercanía este viernes con una reunión en persona en Pekín horas antes de la apertura de los Juegos Olímpicos de Invierno.
La cosecha de sal marina, un oficio transmitido de madres a hijas en Yemen
En un pueblo costero en el sur de Yemen, Zakia Obeid y sus colegas recogen sal en decenas de fosas cavadas por ellas mismas, un oficio centenario transmitido de generación en generación.
Analistas auguran tregua de ensayos de armas de Corea del Norte durante los Juegos
Analistas auguran una tregua en el frenesí de ensayos militares de Corea del Norte durante los Juegos Olímpicos de Invierno de Pekín, después de que el líder norcoreano Kim Jong Un enviara este viernes "cálidas felicitaciones" a Pekín.
Europa media en la crisis de Ucrania mientras EEUU advierte de una conspiración rusa
Los presidentes de Francia y Turquía trataron de mediar el jueves en la crisis de Ucrania, mientras Estados Unidos alertó de unos supuestos videos falsos preparados por Rusia para justificar la invasión de su vecino prooccidental.
Repsol promete terminar en marzo limpieza de derrame en costa de Perú
La petrolera española Repsol prometió este jueves terminar en marzo la limpieza de la costa central de Perú, afectada por un derrame en el mar de casi 12.000 barriles de crudo, el 15 de enero.
Cómo se fraguó y ejecutó el raid con que EEUU acabó con el jefe del EI
A comienzos de diciembre, la inteligencia estadounidense estaba segura: el hombre que ocupaba el piso más alto de una casa cualquiera en Atme, al norte de Siria, que nunca dejaba el edificio y solo salía para tomar una ducha en el techo, era el jefe del grupo Estado Islámico (EI).